买楼易 -
香港买楼必备手机APP
港房专栏精选文章
香港买房流程
一手楼服务
成交實例
买楼PowerTeam服务
最新文章
关于创办人-谂Sir
樓盤
海灣花園 2座 低層 E室
Lam Chan
0
溱岸8號 5座 低層 E室
Fion Yeung
0
新港城 4期 K座 中層 7室
Fion Yeung
0
萬景峰6座中層F室
Lam Chan
0
荃灣區 經紀手記
Lam Chan
1
【諗Sir】必嘉坊·迎匯當區規劃|首張價單開價預測
Homeblogger
0
【諗Sir】長沙灣獲大孖沙進駐|沿海地王最新發展|批發市場有冇機會搬遷?
Homeblogger
0
【諗Sir】PARK YOHO Bologna附近發展
Homeblogger
0
【諗Sir】鰂魚涌9個項目重建|太地、恒地聯手收購|區內重建尋寶
Homeblogger
0
【諗Sir】油塘灣計劃起6,556伙|油塘工業區變天 |北港島線受惠者 不用轉車直達灣仔北
Homeblogger
0
疊茵庭 8座中層D室
Lam Chan
0
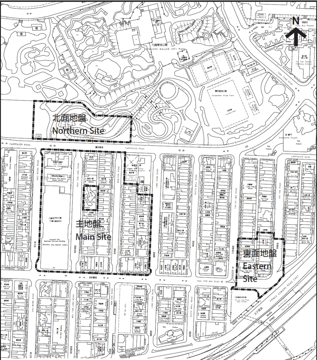
【諗Sir】市建局重建九龍城變天|收購呎價直逼21,000元|土瓜灣十三街重建有成本阻力?
Homeblogger
0
上一頁
下一頁